Tatalu River
The Tatalu (SENĆOŦEN), or Little Campbell River, is a productive, multi-jurisdictional, transboundary watercourse located in the heart of the Salish Sea (or Georgia Basin-Puget Sound Ecoregion). This river meanders west from its headwaters in Langley, through South Surrey and into White Rock where it enters Semiahmoo Bay. The Tatalu watershed serves as the study area for A Rocha Canada’s conservation science program, defining the geographic scope of the surveys, research, and habitat restoration projects.

The Tatalu watershed is home to a diversity of wildlife and plant species, including five species of Pacific salmon and trout, as well as over 30 species at risk. The river and its associated habitat are characterized by unchannelized streams, an undyked floodplain, an undeveloped estuary, and several large wetlands. Along with other watersheds located in the Salish Sea, the Tatalu and its surrounding natural habitat are faced with increasing anthropogenic impacts and threats, including poor water quality, seasonally low water levels, and loss of wetland and forest habitat due to pressures from urbanization and agricultural land development.
The goals of A Rocha Canada’s conservation science program are the following:
- Thriving ecosystems and communities
– Protect and enhance biodiversity
- Transformational learning
– Mentor and equip interns and volunteers - Conservation leadership
– Engage decision makers with science that inspires action
Caring for a unique and vulnerable river.
The latest news on our projects
The Importance of Investing in Place: Intern Reflection
An Intern Reflection by Erin Wiberg I was once convinced that nothing could beat the rolling prairies and mountainous landscapes of Alberta, and I never imagined myself leaving home. However, my plans changed (as [...]
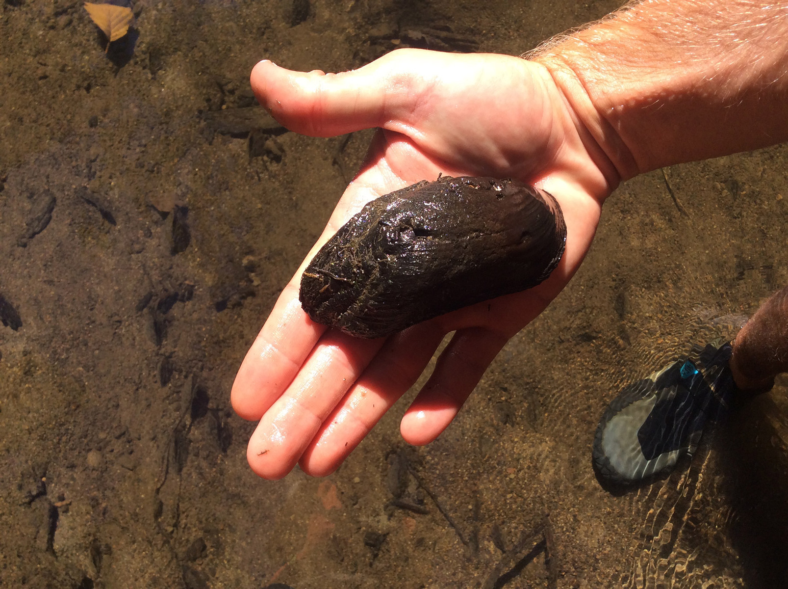
Flexing Conservation Mussels
Alumni Intern Lanie Fung Introduces A Rocha’s latest Conservation Report I’m crouching in the middle of the Little Campbell River with my head in a bucket. Believe it or not, this [...]
What’s the Buzz About Pollination at Brooksdale?
Written by Marnie Klassen Several years ago, I was on a road trip through California with my parents and older sister. We love road trips, but in the middle of a [...]






